Zima w pełni więc szukając trochę słońca jedziemy do Egiptu, gdzie ciepła lazurowa woda zwana Morzem Czerwonym zachęca do nurkowania. Tak wczesnym rankiem stajemy do odprawy na lotnisku w Rębiechowie skąd po niezbędnych formalnościach startujemy obierając kurs na półwysep Synaj by po 4 godzinach lądować w Sharmie. Wita nas ciepłe słońce i błękitne niebo a na ruchomych schodach prowadzących do sali przylotów, pijany 120 kg rodak z kaszub, który tocząc się w dół jak lawina niszczy wszystko po drodze, między innymi torbę naszej koleżanki. Ale nic to najważniejsze że wreszcie słonecznie i ciepło chociaż trochę wieje, ale niektórym to trudno dogodzić. Wakacje to wakacje ładujemy się z bagażem do busa i ruszamy do Dahabu gdzie w hotelu Tropitel spędzamy najbliższy tydzień. I wreszcie cel naszej podróży baza nurkowa Planet Divers z sympatyczną i profesjonalną obsługą spełniającą wszystkie nasze nurkowe zachcianki.
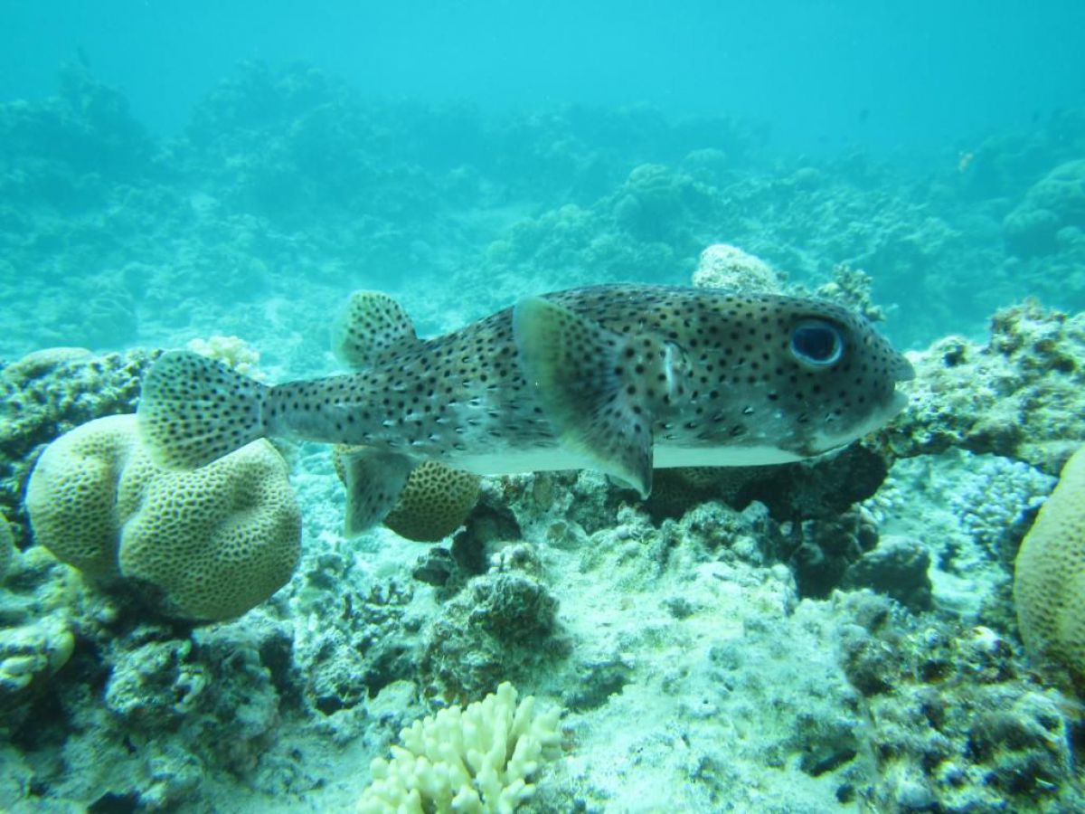
Ustalamy plan i do roboty pobudka o 7,30 śniadanie, 8,50 zbiórka i rozklekotanymi busikami jedziemy do bazy Planet Divers. W bazie klarowanie sprzętu i znowu busy wiozą nas na miejsce nurkowe i to nie byle jakie bo takie nazwy jak Canyon, Coral Garden, Blue Hole słyszał każdy pasjonat nurkowania. Zresztą Dahab to miejsce kultowe dla nurków, a Planet Divers jest tego miejsca perełką. Tak mija dzień, wieczorem powrót do hotelu kolacja potem pogaduchy i lulu. A śpi się tu wyśmienicie właściwie to po przyłożeniu głowy do poduszki włącza się faza głębokiego snu REM i dopiero poranny budzik wyrywa nas z tego letargu i to z wielkim trudem. I tak dzień za dniem w jasnym słońcu, krystalicznej wodzie i doskonałej atmosferze realizujemy swoją pasję nurkową. Chociaż ciągle w skafandrach i pod wodą to jednak w tak zwanym międzyczasie blade członki łapią trochę słońca i powoli zmieniają kolor na bardziej atrakcyjny. Ale wszystko co dobre kończy się zbyt szybko i czas wracać w zdecydowanie zimniejsze strony. Ładnie opaleni weseli z nadmiarem endorfiny w organizmie, pakujemy się i w drogę do domu. A tam szaro buro i ponuro, śniegu po kolana i mróz szczypie za uszy, ale to już marzec więc aby do wiosny. Zostały wspaniałe wspomnienia i masę kolorowych zdjęć, zresztą zobaczcie sami i postanowienie że jeszcze tu wrócimy może w listopadzie.
Zapraszam Waldemar Wnorowski



10°C





















































































