Gdynia Orłowo nocą

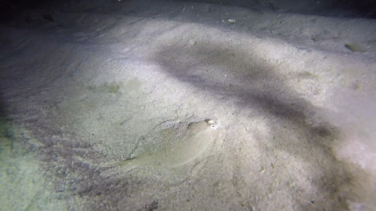
W czwartkowe popołudnie spotkaliśmy się na nurkowaniu w Gdyni. Pogoda dopisała jak i widoczność całkiem niezła. Woda miała temperaturę 5 stopni i tu wielki ukłon w stronę Marceliny że pomimo nurkowania w piance była z nami przez całe 55 minut czasu dennego.

Polub nas

Udostępnij

Nigdy nie nurkowałeś?

Dowiedz się jak zacząć podwodną przygodę!

Stronę przegląda się wygodniej trzymając urządzenie poziomo.

Zamknij ten komunikat